| 月々返済額の参考額 | 108,199円 (返済期間/40年 自己資金なし、変動金利0.745% ボーナス時返済なしの場合) ⇒ ローンシミュレーションはこちら |
|---|
お客様の借入条件等により、上記金利が適用できない場合がございます。詳しくは弊社までご相談下さい。
| 名称 | 昭島 | 所在地 | 東京都昭島市田中町2丁目 |
|---|---|---|---|
| 沿線 / 駅 ① | 青梅線「昭島」駅 徒歩 18分 | 沿線 / 駅 ② | 青梅線「拝島」駅 バス 19分 バス停徒歩 4分 |
| 価格 | 価格 4,490万円 | 建物面積 /土地面積 | 96.88m² / 125.28㎡ |
| 私道面積 | -- | セットバック面積 | -- |
| 間取り | 4LDK | 築年月 | 2026年06月 完成予定 |
※画像をクリックすると拡大表示します
| 物件ID | fn3534-A | 構造 | 木造2階建 |
|---|---|---|---|
| 土地権利 | 所有権 | 地目 | 宅地 |
| 都市計画 | 市街化区域 | 用途地域 | 準住居地域 / 第一種低層住居専用地域 |
| 建ぺい率 | 60% / 40% | 容積率 | 300% / 80% |
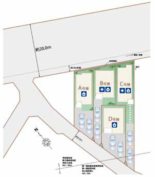
| 接道状況 | 南西 4.0m 公道 / 北東 20.0m 公道 | 引渡し | 相談 |
| 設備 |
水道(公営)ガス(都市ガス) 下水(公共)電気(東京電力) |
取引態様 | 仲介 |
| 小学校区 | 田中小学校 | 中学校区 | 多摩辺中学校 |
| 周辺施設等 |
田中小学校……現地より徒歩6分 多摩辺中学校……現地より徒歩11分 マルフジ……現地より徒歩3分 ファミリーマート……現地より徒歩2分 セブンイレブン……現地より徒歩3分 昭島ゆりかご第二保育園……現地より徒歩5分 |
||
| 備考 |
☆新築分譲住宅全4棟 ☆JR青梅線「昭島」駅から徒歩18分♪ ☆土地面積37.89坪! ☆カースペース2台駐車可能♪ ☆小中学校が徒歩圏内にあり、お子様の通学も安心です♪ ☆買い物に便利なスーパーやコンビニが徒歩10分圏内にあり住環境良好です! ☆4LDK ☆LDK広々19.25帖! ☆キッチンにはパントリーがあり、収納豊富♪ |
||
| 更新日 | 2026年04月23日 | 次回更新予定日 | 随時 |
お問い合わせは拝島店まで
042-530-5881
- 東京都福生市熊川1396
営業時間09:00~19:00
お気に入りに追加することで、後ほど確認や一括問い合わせが可能です。
お気に入りした物件はコチラ、
もしくはページ上部にあるお気に入り物件アイコンからご確認いただけます。
見学予約スケジュール
見学をご希望する日程をお選びください。※事前予約であれば営業時間外、定休日にもご対応可能です!



















